Canberra
- For Sale
- For Lease
- Recent Transactions
- Property Management
- Blog
- About Us
- Sign In or Register
- Home
- Recent Transactions - Leased
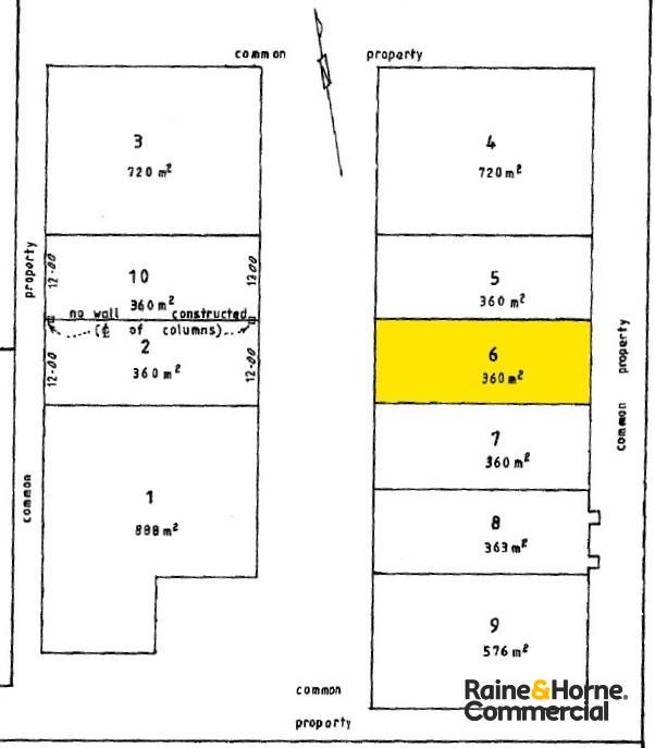
- 6/67-71 Vicars Street, MITCHELL, ACT 2911
6/67-71 Vicars Street, Mitchell, ACT 2911
Floor Area:
360sqm
Leased
$95,000
High Clearance Warehouse in Popular Industrial Complex
Raine & Horne Commercial Canberra are pleased to offer Unit 6 'Vicars Court' for lease from August 2025.
Key features include:
• Popular industrial complex with complimentary mix of occupiers in sought after location
• High clearance warehouse unit with skylights & high bay LED lights throughout
• Office with mezzanine, storage above, plus male & female toilets and kitchenette
• Secure room for storage of hazardous materials
• Large electronically operated roller door at the front
• Three-phase power
• Access to rear courtyard
For further information or to arrange an inspection, please contact Raine & Horne Commercial Canberra.

Mark Nicholls
Principal & Managing Director

Anthony Vatalis
Sales & Leasing Executive
Got a property to sell? Contact us for a free Request Appraisal
Property Info:
- Property ID: L34983794
- Property Type:Industrial/Warehouse
- Building / Floor Area:360 sqm
Recently Listed
Recently Leased

