Canberra
- For Sale
 - For Lease
 - Recent Transactions
 - Property Management
 - Blog
 - About Us
 - Sign In or Register
 
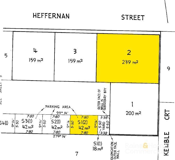
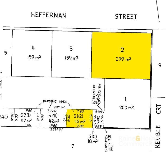
2/69-77 Heffernan Street, Mitchell, ACT 2911
Floor Area:
239sqm
For Lease
Price On Application
Industrial Warehouse in Central Mitchell
Raine & Horne Commercial are pleased to offer 2/69-77 Heffernan Street for lease. 
Positioned centrally within North Canberra's tightly-held industrial precinct, Mitchell, within walking distance to the Mitchell Retail Centre and the Flemington Road light rail stop, this versatile strata-titled unit offers an outstanding opportunity for investors and future owner occupiers.
• 239sqm industrial unit (majority high-clearance warehousing)
• Roller Door access at the rear
• Separate male and female toilets
• Kitchenette
• Two-story office in the corner
• 3 allocated carparks
With excellent access from both Heffernan and Grimwade Streets, this property offers a rare chance to secure a well-located commercial unit within a tightly held area. 
For further information or to arrange an inspection, please contact Raine & Horne Commercial.

Mark Nicholls
Principal & Managing Director

Anthony Vatalis
Sales & Leasing Executive
Got a property to sell? Contact us for a free Request Appraisal
Property Info:
- Property ID: L37390858
 - Property Type:Industrial/Warehouse
 - Building / Floor Area:239 sqm
 
Recently Listed
Recently Leased
